-
Mamdani pide al rey Carlos que "devuelva" preciado diamante que reclama India
-
Puntos clave de la primera conferencia global para la eliminación de los combustibles fósiles
-
La Fed mantiene sin cambios las tasas de interés por tercera reunión consecutiva
-
Miedo y resentimiento: la violencia contra figuras de la IA
-
La UE acusa a Meta de permitir el acceso de menores de 13 años a Facebook e Instagram
-
Powell concentra la atención de la reunión de la Fed, que se prevé mantenga las tasas
-
Primer lanzamiento exitoso de Thundart, cohete de largo alcance de Safran y MBDA
-
Banco Santander suma un nuevo beneficio récord en el primer trimestre
-
"¡Más les vale espabilar pronto!", advierte Trump a Irán ante el limbo de las negociaciones
-
Venezuela y la italiana ENI firman un convenio para incrementar la producción de gas
-
El jefe del Pentágono testificará por primera vez ante el Congreso sobre la guerra en Irán
-
Los camiones eléctricos, más baratos y limpios, transforman la logística de China
-
Estocolmo experimenta con una cafetería completamente dirigida por IA
-
Una empresa de limpieza se vuelve viral en Japón por su servicio de "spa para peluches"
-
Los fenómenos climáticos extremos aumentan en Europa, que teme por El Niño
-
Copa anuncia la compra de 60 aviones Boeing 737 MAX por 13.500 millones de dólares
-
Avanza con éxito el rescate de "Timmy", la ballena varada en aguas alemanas
-
Los beneficios de Airbus caen por las bajas entregas de aviones comerciales
-
Francia investiga la reaparición de una web vinculada a violaciones en el caso Pelicot
-
Los mineros turcos ponen fin a su huelga de hambre por salarios atrasados
-
El beneficio neto del fabricante de autos chino BYD cae un 55% en el 1T
-
Emiratos Árabes Unidos se retirará de la OPEP a partir de mayo
-
Japón aumenta sus previsiones inflacionarias ante el efecto de la guerra en el petróleo
-
Venezuela invita a Barbados a invertir en campos petroleros
-
La Cepal rebaja la proyección de crecimiento de América Latina por el conflicto en Medio Oriente
-
Un tercer sospechoso se declara culpable en la muerte de la figura del hip hop Jam Master Jay
-
El Banco Central de Venezuela contrata una firma para auditar sus activos en el extranjero
-
Trabajadores de Google piden que el Pentágono no use su IA para trabajos clasificados
-
La UE quiere obligar a Google a abrir Android a las IA rivales
-
La policía turca disuelve una protesta de mineros en huelga de hambre
-
La ONU arremete contra Suecia por expulsar a un niño discapacitado
-
El primer ministro Carney lanza el fondo soberano de Canadá por 18.000 millones de dólares
-
Al "puro cash" o trueque, bulle un popular mercado de animales en El Salvador
-
BP reporta un fuerte aumento de sus beneficios en el 1T por el alza del petróleo
-
Israel utiliza el agua como un arma contra los palestinos en Gaza, sostiene MSF
-
Comienzan alegatos en pleito judicial que enfrenta a Elon Musk con OpenAI
-
Parlamento Europeo reclama definición armonizada de la violación que incluya la noción de consentimiento
-
Juzgado un joven en Austria por planear atentado contra concierto de Taylor Swift
-
Meta dará marcha atrás en la adquisición de la firma de IA Manus tras el bloqueo chino
-
Irán dice que el bombardeo contra una escuela en Minab dejó 155 muertos, tras revisar el saldo a la baja
-
Siete muertos y decenas de heridos al chocar dos trenes en Indonesia
-
El rey Carlos III llega a EEUU para reforzar los vínculos con Trump
-
Al menos cuatro muertos al chocar dos trenes cerca de Yakarta
-
Un tribunal ruso ilegaliza a una importante oenegé LGTB y la declara "extremista"
-
Unos hombres armados secuestraron al menos a 23 niños de un orfanato clandestino en Nigeria
-
Shell se fortalece en el sector del esquisto al comprar la empresa canadiense ARC Resources
-
Comienza la selección del jurado en la batalla legal de Musk contra OpenAI
-
Taylor Swift busca registrar su voz como marca comercial por la revolución de la IA
-
Brit School, el semillero de estrellas del que salieron Amy Winehouse, Olivia Dean o Adele
-
Comienza selección del jurado en batalla legal de Musk contra OpenAI
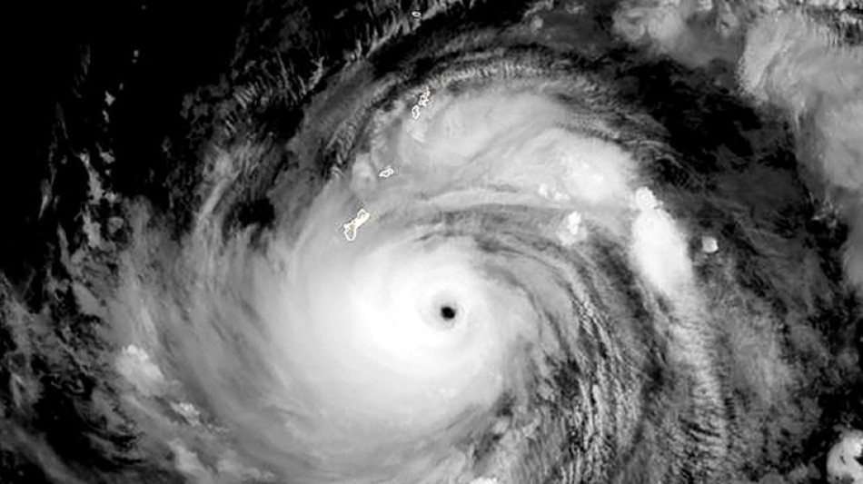
La isla estadounidense de Guam se prepara para el impacto del supertifón Mawar
El supertifón Mawar, con vientos potencialmente catastróficos, se dirige directamente a la isla de Guam, territorio de Estados Unidos situado en el Pacífico y puesto militar de crucial importancia.
Según un informe del Servicio Meteorológico Nacional (NWS, por sus siglas en inglés), Mawar se estaba intensificando hasta convertirse en un supertifón de categoría cinco, con vientos máximos sostenidos de 255 kilómetros por hora.
"Estoy preocupado por la seguridad de nuestra gente. Es la primera tormenta de esta magnitud en 20 años", dijo el gobernador Lou Leon Guerrero.
En su trayectoria actual, Mawar pasará directamente sobre la isla de 170.000 habitantes, desatando lluvias torrenciales e inundaciones extremas. "Se prevé que Mawar se intensifique a lo largo de la noche", dijo el NWS.
A las 04H00 locales del miércoles (18H00 GMT del martes), la tormenta estaba 135 kilómetros al sureste de Guam, con vientos máximos sostenidos de 155 km/h, dijo la oficina del NWS en Guam en una advertencia.
"El paso muy cerca o directamente sobre Guam es inminente", dijo el meteorólogo.
"La triple amenaza del supertifón Mawar son las lluvias torrenciales que pueden provocar deslizamientos de tierra e inundaciones repentinas, vientos catastróficos e inundaciones costeras potencialmente letales", dijo.
Los vientos podrían alcanzar ráfagas de hasta 320 km/h, provocando daños importantes en edificios y casas hechos de materiales livianos.
En las costas, los grandes barcos "podrían ser arrancados de las amarras".
Las autoridades ordenaron la evacuación de las zonas costeras bajas, especialmente en las aldeas del sur propensas a inundaciones, y pidieron a todos que "se refugien inmediatamente" ante los vientos destructivos que se esperan para el miércoles por la mañana.
Unos 21.700 militares estadounidenses y sus familias tienen su base en o cerca de varias instalaciones de Guam, que habitualmente alberga submarinos nucleares de ataque, bombarderos de largo alcance y puestos de escucha electrónica.
Las bases estadounidenses también alojan algunas de las instalaciones de almacenamiento de municiones y combustible más importantes de la región del Pacífico.
Según las previsiones, las precipitaciones podrían provocar deslizamientos de tierra en el centro y el sur de la isla, advirtió el servicio meteorológico.
El presidente de Estados Unidos, Joe Biden, declaró el martes el estado de emergencia para Guam, para que se pueda proporcionar ayuda federal a la isla, según un comunicado de la Casa Blanca.
Alrededor de 60 vuelos hacia y desde Guam programados entre el martes y el jueves fueron cancelados, según el Aeropuerto Internacional A.B. Won Pat.
Se prevé que las condiciones mejoren el jueves.
P.Gonzales--CPN